1163 -- Big Bend Ln

Fredericksburg, TX 78624

1163 -- Big Bend Ln

Fredericksburg, TX 78624

$2,130,000

2026-04-09
3 3.5 4907
Beds Baths Sq. Ft.
StatusActive
Year Built---
CountyGillespie
Flooring
Lot Size
Parking3+ Car, Attached
Total StoriesOne
Cooling
School District
Schools Metal
FireplaceMasonry, Other
Property Type

Property Details

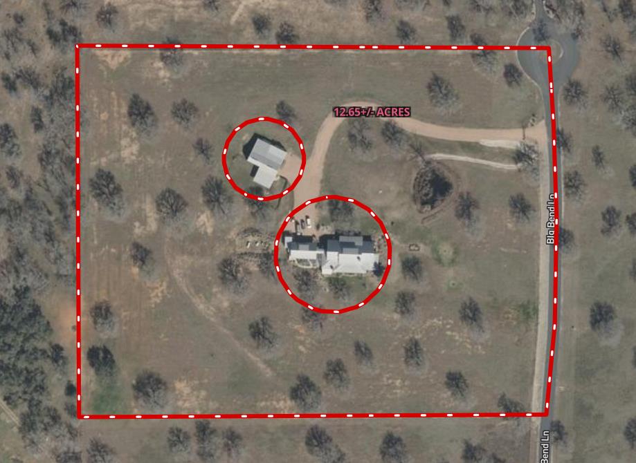
Welcome to 1163 Big Bend Ln, set on 12.65 acres, showcasing quality design and craftsmanship! The main residence features 2 BR PLUS a large office that can easily be used as a br, and 2.5 baths. There is also a Flex space above the Carport, this space has a multitude of uses including an office or BR. There is also a 1 br/1 bth guesthouse attached to the workshop! Enjoy the open-concept living, dining, and kitchen area, a cozy fireplace, vaulted ceilings and clerestory windows which bring the GREAT, to the great room! Completed with custom woodwork, including pine ceilings, cherry trim, alder doors, Kingwood cabinetry throughout the kitchen, which offers an impeccable view of the back porch and living area. The spa-like master suite impresses with high ceilings, direct access to the inviting back porch, and a master bath featuring dual sinks, a large soaking tub, walk-in shower, and an expansive closet. The second bedroom, equally luxurious, has an on-suite as well. Additional features include a 72k gal. rainwater collection system servicing entire home, an outdoor kitchen and shower, a 3-car carport, and a 1,900 sqft spray foam insulated workshop! See Agent Remarks For More!




This real estate information comes in part from the Internet Data Exchange/Broker Reciprocity Program. Information is deemed reliable but is not guaranteed.
© 2017 San Antonio Board of Realtors. All rights reserved.


,,