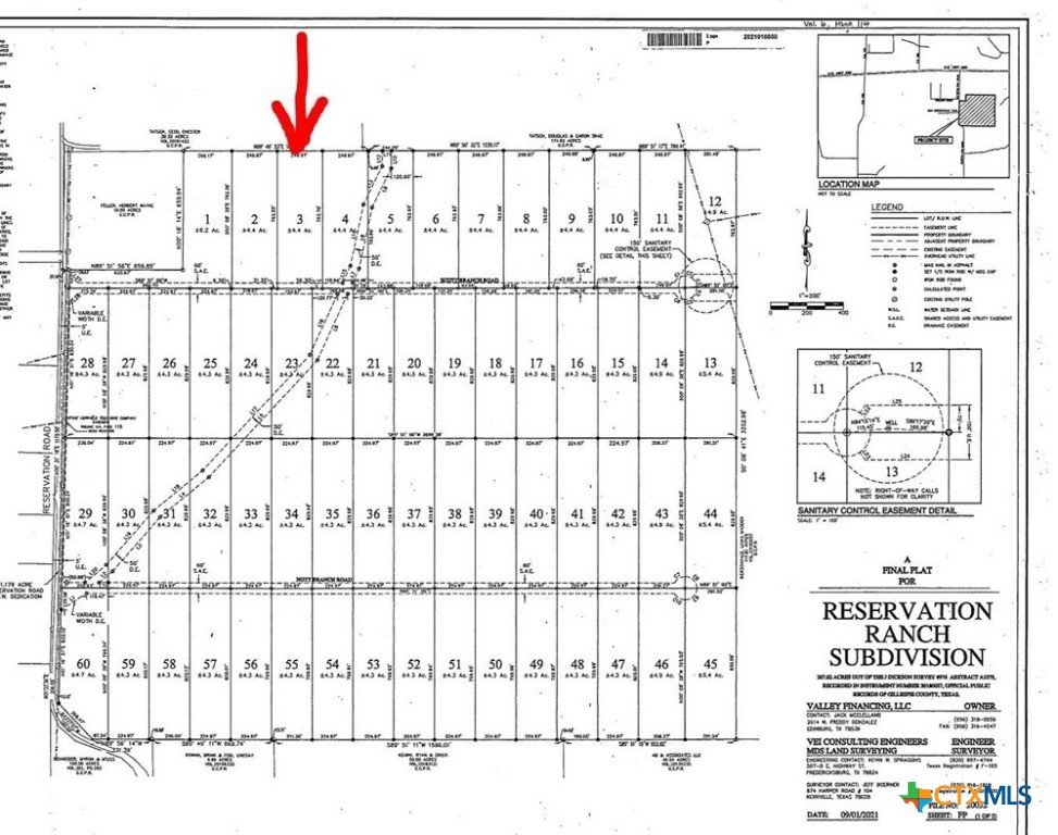
3 Scott Branch

Harper, TX 78631
Sold

3 Scott Branch

Harper, TX 78631

Contact For Sold Price
N/A N/A N/A
Beds Baths Sq. Ft.
StatusOff Market
Year Built---
CountyGillespie
Flooring
Lot Size4.4
Parking
Total Stories
Cooling
School District Harper ISD
Schools
Fireplace
Property Type Acreage

Property Details

Welcome to the Hill Country!! If you have been dreaming of tranquil hill country living this 4.4 acre lot in Harper, TX may be the place for your new home. This beautiful lot is loaded with mature trees in the small gated community of Reservation Ranch. With reasonable restrictions,bardominiums, manufactured, and tiny homes are all welcome. Electricity and water are available at the street. Septic is required. Located 30 minutes to Fredricksburg and 30 minutes to Kerrville.




Courtesy of Epique Realty Llc

This real estate information comes in part from the Internet Data Exchange/Broker Reciprocity Program. Information is deemed reliable but is not guaranteed.
© 2017 San Antonio Board of Realtors. All rights reserved.


,,