57 -- Fishel Hill Ln

Stonewall, TX 78671

57 -- Fishel Hill Ln

Stonewall, TX 78671

$832,500

2025-12-07
StatusActive
Year Built---
CountyGillespie
FlooringCTEC Electric on Property
Lot Size
ParkingNative Pasture
Total StoriesFarm,Recreational,Investment
Cooling
School District
Schools
Fireplace
Property Type

Property Details

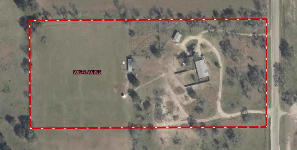
Welcome to 57 Fishel Hill Road, nestled in the heart of Stonewall, just minutes from the amenities of Stonewall and the 290E Wine Trail. Only 17 miles from historic downtown Fredericksburg and from downtown Johnson City. Enjoy exceptional Hill Country views on this picture perfect 9.95-acre ranch. The updated 3-bedroom, 2-bath main house includes a bonus den and a bright and open modern kitchen, plus there is an updated 1-bedroom, 1-bath cabin open concept and stainless steel appliances which offers endless possibilities as a short-term rental, long-term rental, or guest house. Both homes feature brand-new roofs! The property is cross-fenced, perfect for your farm or ranch needs, with 5+/- high-fenced acres ideal for exotics and or an additional homesites. Key features include ranch road 1623 frontage, a well house, a workshop/barn, and propane heating for the main house. With no deed restrictions, this rare ranchette is truly a remarkable opportunity. Don't miss your chance to own this slice of the Texas Hill Country. Call or text Shelton now to schedule your showing!




This real estate information comes in part from the Internet Data Exchange/Broker Reciprocity Program. Information is deemed reliable but is not guaranteed.
© 2017 San Antonio Board of Realtors. All rights reserved.


,,